

โนเบล : 3 นักดาราศาสตร์ครองรางวัลโนเบลสาขาฟิสิกส์ 2019 ร่วมกัน
ศาสตราจารย์ เจมส์ พีเบิลส์ นักฟิสิกส์ดาราศาสตร์ชาวอเมริกันเชื้อสายแคนาดา รวมทั้งศาสตราจารย์ มิเชล มายอร์ และศาสตราจารย์ ดิดีเยร์ เกโลซ สองนักฟิสิกส์ดาราศาสตร์ชาวสวิส ร่วมกันครองรางวัลโนเบลสาขาฟิสิกส์ประจำปี 2019 จากผลงานการพัฒนาทฤษฎีจักรวาลวิทยากายภาพ (Physical Cosmology) และการค้นพบดาวเคราะห์นอกระบบสุริยะ (Exoplanet) ซึ่งเปลี่ยนแปลงความเข้าใจของมนุษย์เกี่ยวกับโลกและจักรวาลไปอย่างสิ้นเชิง
ศาสตราจารย์พีเบิลส์ซึ่งดำรงตำแหน่งศาสตราจารย์กิตติคุณด้านวิทยาศาสตร์ อัลเบิร์ต ไอน์สไตน์ ที่มหาวิทยาลัยพรินซ์ตันของสหรัฐฯ ได้รับการยกย่องจากผลงานทางทฤษฎีหลายเรื่อง ที่นำไปสู่ความเข้าใจต่อพัฒนาการทางกายภาพของเอกภพในช่วงเวลาต่าง ๆ นับแต่เหตุการณ์บิ๊กแบงราว 14,000 ล้านปีก่อนเป็นต้นมา
ศ. พีเบิลส์ ได้ทำนายถึงการมีอยู่ของรังสีไมโครเวฟพื้นหลังของจักรวาล (CMB) ซึ่งเป็นแสงสว่างจาง ๆ ของเหตุการณ์บิ๊กแบงที่หลงเหลืออยู่ และการก่อตัวของนิวเคลียสอนุภาคต่าง ๆ หลังเอกภพเริ่มขยายตัว ซึ่งได้ช่วยในการพัฒนาแบบจำลองบิ๊กแบง รวมทั้งความรู้ความเข้าใจที่ลึกซึ้งยิ่งขึ้นเกี่ยวกับสสารมืดและพลังงานมืดอีกด้วย
ศ. พีเบิลส์จะได้รับเงินรางวัลครึ่งหนึ่งจากจำนวนทั้งหมด 9 ล้านโครน (ราว 28 ล้านบาท) ในขณะที่ศ. มายอร์ และศ. เกโลซ จากมหาวิทยาลัยเจนีวาของสวิตเซอร์แลนด์ จะได้รับเงินรางวัลอีกครึ่งหนึ่งร่วมกัน จากผลงานการค้นพบดาวเคราะห์นอกระบบสุริยะดวงแรกในกลุ่มดาวเพกาซัส ซึ่งพลิกแนวคิดเรื่องตำแหน่งแห่งที่ของโลกและระบบสุริยะอื่น ๆ ในสายตาของนักฟิสิกส์ดาราศาสตร์ไปอย่างมาก
ทั้งนี้ การค้นพบดาวเคราะห์นอกระบบสุริยะ ทำให้มนุษย์ได้ตระหนักว่าระบบสุริยะของเราไม่จำเป็นจะต้องมีสภาพแวดล้อมเหมือนกับระบบสุริยะอื่น ๆ แต่ก็ได้ค้นพบด้วยว่า ในระบบเหล่านั้นมีดาวเคราะห์ที่คล้ายคลึงกับโลกอีกมากมาย ซึ่งอาจมีสิ่งมีชีวิตอาศัยอยู่ด้วย
กัปตันแลนดิ้งไร้ล้อ ท้องเครื่องบินไถล-ไฟลุก 17 ชีวิตปลอดภัย
กัปตันแลนดิ้งไร้ล้อ – วันที่ 10 ต.ค. ไลฟ์ รายงานว่า เกิดเหตุเครื่องบินทหารอันโตนอฟ-12 (อัน-12) ลงจอดโดยไร้ล้อเครื่องบิน บนรันเวย์ของท่าอากาศยานนานาชาติคอลต์โซโว แคว้นเยคาเตรินบุร์ก เขตไซบีเรีย ประเทศรัสเซีย
เครื่องบินลำดังกล่าวเดินทางออกจากแคว้นเชเลียบินสค์ตามตารางการบิน กระทั่งเวลา 09.12 น. ตามเวลากรุงมอสโก เครื่องบินลงจอดฉุกเฉินที่สนามบินดังกล่าว ขณะลงจอด ไฟไหม้ใต้ท้องเครื่องบินแต่ดับลงไม่นาน
บนเครื่องบินมี 17 คน เป็นผู้โดยสาร 11 คน และลูกเรือ 6 คน ทั้งหมดไม่มีใครบาดเจ็บ ขณะนี้สนามบินหยุดทำการชั่วคราว
ต่อมา อินเตอร์แฟ็กซ์ รายงานว่า ลูกเรือไม่สามารถเปิดล้อเครื่องบิน แม้จะพยายามหลายครั้งแล้ว ทำให้เครื่องบินต้องลงจอดโดบไร้ล้อบนรันเวย์ซึ่งมีการฉีดโฟมสารเคมีไว้
ด้านมณฑลทหารกลางของกระทรวงกลาโหมของรัสเซียแจ้งว่า สาเหตุเบื้องต้นเกิดจากล้อเครื่องบินไม่กาง จากนี้จะตั้งคณะกรรมการสอบสวนหาสาเหตุอย่างละเอียดต่อไป ส่วนเครื่องบินอัน-12 มีการนำออโต้เครนมาเคลื่อนย้ายออกจากรันเวย์สนามบินแล้ว
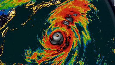
ญี่ปุ่นระทึก! ซูเปอร์ไต้ฝุ่น ฮากิบิส จ่อถล่มเสาร์นี้ รุนแรงเท่าเฮอริเคนระดับ 5
ฮากิบิส / เมื่อวันที่ 10 ต.ค. สำนักข่าวต่างประเทศรายงานว่า ตอนนี้ชาวญี่ปุ่นต่างเตรียมตัวเผชิญกับซูเปอร์ไต้ฝุ่น ‘ฮากิบิส’ หรือไต้ฝุ่นหมายเลข 19 มีความรุนแรงเท่าพายุเฮอริเคนระดับ 5 ตอนนี้ก่อตัวทางตะวันตกของมหาสมุทรแปซิฟิก และกำลังเคลื่อนตัวมุ่งหน้าทางทิศเหนือ-ตะวันตกเฉียงเหนือ หลังจากพัดผ่านเกาะกวมของสหรัฐในแปซิฟิก เมื่อวันที่ 8 ต.ค.
สำนักอุตุนิยมวิทยาญี่ปุ่นจับตาซุปเปอร์ไต้ฝุ่น ‘ฮากิบิส’ โดยคาดว่าจะเคลื่อนผ่านหมู่เกาะโองาซาวาระ มุ่งหน้ามายังภูมิภาคคันโต ทางตะวันออกของเกาะฮอนชู ประเทศญี่ปุ่น ซึ่งประกอบด้วย 8 จังหวัด รวมทั้งกรุงโตเกียว เมืองหลวง ในคืนวันเสาร์ที่ 12 ต.ค. หรือเช้าวันอาทิตย์ที่ 13 ต.ค.
ทำให้ตอนนี้ทางการญี่ปุ่นและชาวญี่ปุ่นต่างตระเตรียมความพร้อมในการรับมือซูเปอร์ไต้ฝุ่นลูกนี้
ช่วงช่วง-หัวใจล้มเหลวบทพิสูจน์ความสัมพันธ์
รอกันมาแรมเดือนในที่สุดทีมสัตวแพทย์จีนได้ออกประกาศแล้วว่า ‘ช่วงช่วง’ ตายเพราะหัวใจล้มเหลว
เมื่อวันที่ 16 กันยายน 2562 โดยการชันสูตรและวินิจฉัยของผู้เชี่ยวชาญจีน-ไทย
กรณีนี้ต้องแอบหายใจและโล่งอกอีกครั้งเพราะ ‘ช่วงช่วง’ ไม่ได้ตายด้วยเหตุอื่น เช่น ไม่พบบาดแผลภายนอก ไม่พบสิ่งแปลกปลอมในหลอดลมหลังจากมีข่าวลือว่ามีถุงพลาสติก ต่อไปก็จะเป็นบทพิสูจน์ความสัมพันธ์ไทย-จีน ว่าแน่นแฟ้นดีหรือไม่ เพราะเวลานี้สวนสัตว์เชียงใหม่เหลือ ‘หลินฮุ่ย’ แพนด้าที่น่ารักเพียงตัวเดียวและมีเรื่องเรียกร้องให้จีนส่งแพนด้ามาแทน ‘ช่วงช่วง’
เรื่องนี้รัฐบาลไทยจะต้องแสดงเจตจำนงขอไปส่วนจีนจะส่งมาให้หรือไม่อยู่ที่การตัดสินใจว่าเป็นอย่างไร เพราะ ‘ช่วงช่วง’ หมดอายุขัยจริงๆ ไม่ได้ตายเพราะทางสวนสัตว์เชียงใหม่ดูแลไม่ดี
จึงอยู่ที่ทางจีนว่ายังรักประเทศไทยและคนไทยเหมือนเดิมหรือไม่?
รวยเละ หวยยูโรมิลเลียนส์ แตกแล้ว เศรษฐีใหม่ใน UK คว้าเงิน 6 พันล้าน
ยังไม่รู้ใครถูก.. แจ๊กพอต ลอตเตอรี่ ยูโรมิลเลียนส์ แตกแล้ว มีคนใน UK ซื้อลอตเตอรี่ใบที่ถูกเพียงใบเดียว คว้าเงินรางวัลสะสมสูงสุดเท่าที่เคยเกิดขึ้น ถึง 170 ล้านปอนด์ หรือกว่า 6 พันล้านบาท
เมื่อ 9 ต.ค.62 สำนักข่าวบีบีซี รายงาน ข่าวฮือฮา เจ้าหน้าที่สำนักงานกองสลากกินแบ่งสหราชอาณาจักร(UK) เปิดเผยมีคนถูกแจ็กพอต ลอตเตอรี่ Euromillions (ยูโรมิลเลียนส์) คว้าเงินรางวัลมหาศาล 170,221,100 ปอนด์ (ประมาณ 6.3 พันล้านบาท) ซึ่งถือเป็นเงินรางวัลลอตเตอรี่สูงที่สุดในสหราชอาณาจักรเท่าที่เคยมีมา
สำนักงานกองสลากกินแบ่งสหราชอาณาจักร ยังเปิดเผยว่า เลขแจ็กพอต ลอตเตอรี่ ยูโรมิลเลียนส์ ได้แก่ เลข 7, 10, 15, 44, 49, 3 และ 12 ซึ่งมีคนซื้อลอตเตอรี่เลขที่ถูกแจ็กพอตนี้เพียงใบเดียวเท่านั้นและอยู่ในสหราชอาณาจักร โดยขณะนี้ยังไม่ทราบชื่อของมหาเศรษฐีคนใหม่ และยังไม่รู้ว่าลอตเตอรี่ใบที่ถูกแจ็กพอตนี้ เป็นของบุคคลที่ซื้อลอตเตอรี่นี้เพียงคนเดียว หรือเป็นของครอบครัวใดครอบครัวหนึ่ง หรือองค์กรใดองค์กรหนึ่ง
บีบีซี ยังแจ้งว่า ถ้าผู้ที่ถูกลอตเตอรี่แจ็กพอตยูโรมิลเลียนส์ เป็นคนที่ซื้อเพียงคนเดียว จะทำให้คนผู้นี้ติดอันดับมหาเศรษฐี 1,000 คนของ Sunday Times’ Rich ที่ร่ำรวยที่สุดที่อาศัยอยู่หรือทำธุรกิจที่เกี่ยวข้องกับสหราชอาณาจักรเลยทีเดียว
ด้าน แอนดี้ คาร์เตอร์ ที่ปรึกษาอาวุโสคนถูกแจ็กพอตลอตเตอรี่ ของสำนักงานกองสลากกินแบ่งสหราชอาณาจักร กล่าวด้วยความดีใจว่า มีเพียงคนเดียวที่เป็นเจ้าของลอตเตอรี่ถูกแจ็กพอตซึ่งโชคดีอย่างเหลือเชื่อ คว้าเงินรางวัล 170 ล้านปอนด์ สูงสุดเท่าที่เคยมีมา และขอให้ทุกคนที่ซื้อลอตเตอรี่รีบนำลอตเตอรี่มาตรวจดูโดยเร็วที่สุดเท่าที่จะทำได้